Creo que es perfecto para el hilo...
X
Sorteo Mercasonic
Acerca de... Niveles, Estandares, Medicion y Analisis
OFERTAS Ver todas
-
-12%K Multimedia iLoud Micro Monitor Pro
-
-35%Behringer X32 Producer
-
-13%Kawai ES-60
mod
"Con una dinámica de 144dB (en el mundo de 24bit), nuestros DAWs tienen un rango dinámico suficiente como para captar el motor de un avión y un pedo de mosca con la misma ganancia de entrada, e incluso así, la gente se sigue estresando por no tener "suficiente nivel". Además de esto, muchos plugins han sido diseñados a partir de clásicos analógicos. El diseño de un EQ Neve o de un compresor SSL por ejemplo, incluye la distorsión de los aparatos originales, de modo que debes usar las etapas de ganancia como lo harías en el mundo analógico. Los 0dB de un medidor VU en el mundo analógico, se traducen en unos -18dB en el mundo digital. Normalmente la gente usa los plugins con demasiado nivel, añadiendo mucha distorsión."
Interpretar un espectrograma. Es poco pero no encuentro apenas algo sobre esto...

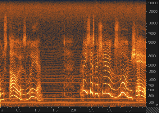
Características que se pueden observar en los espectrogramas:
- Líneas horizontales en bajos y medios: zumbido eléctrico (parte del ruido)
- Fondo moteado en todas las frecuencias: ruido de banda ancha
- Líneas onduladas: armónicos de voz
- Áreas de luz vertical en los medios y altos: sibilantes del habla
- Nube ruidosa alrededor de 2 segundos: respiración
- Líneas verticales alrededor de 1,7 segundos: saliva de ruptura durante la apertura de la boca
(fuente)

Características que se pueden observar en los espectrogramas:
- Líneas horizontales en bajos y medios: zumbido eléctrico (parte del ruido)
- Fondo moteado en todas las frecuencias: ruido de banda ancha
- Líneas onduladas: armónicos de voz
- Áreas de luz vertical en los medios y altos: sibilantes del habla
- Nube ruidosa alrededor de 2 segundos: respiración
- Líneas verticales alrededor de 1,7 segundos: saliva de ruptura durante la apertura de la boca
(fuente)
Nuevo post
Regístrate o identifícate para poder postear en este hilo
